family CERAMBYCIDAE Latreille, 1802
subfamily LEPTURINAE Latereille, 1802
tribe Lepturini Latreille, 1802
genus Pachytodes Pic, 1891
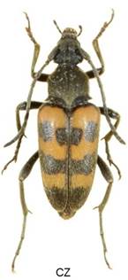
Pachytodes cerambyciformis (Schrank, 1781)












Velikost 7-12 mm.
Bionomie. Duffy (1953) uvádí vývoj v odhalených kořenech nedávno uhynulých stromů, hlavně vývratů. Přednostně ve vlhkých částech chráněných zemí. Larvy mohou přelézat i do jiných kořenů. Kuklí se v půdě v oválném zemitém kokonu. Dvouletý vývoj. Larvy žijí v kořenech hlavně pod úrovní půdy a kuklí se většinou v půdě. - Imága se vyskytují od VI. do VIII., maximum VII. na různých květech, zejména Apiaceae, Aruncus, Rosa aj.
Živné rostliny - Quercus, Castanea, Betula; Carpinus, Picea, Pinus; Alnus, Abies.
Variabilita. Velmi variabilní druh. Černé skvrny na krovkách se mohou různě spojovat, až jsou krovky téměř černé, nebo jsou redukovány, takže krovky jsou celé světlé.
Pachytodes erraticus erraticus (Dalman, 1817)



 
   
  
  
 



Velikost 7-13 mm.
Bionomie. Listnaté prořídlé porosty, okraje lesů, lesostepi. Podle Čerepanova (1979) se larvy vyvíjejí nehluboko pod zemí ve slabých kořenech (1– 3 cm) silných stromů, které často zcela rozežerou. V těchto kořenech se také kuklí. Vývoj larev dvouletý. – Výskyt imág v V. – VII., maximum od konce V. do poloviny VI. na různých květech.
Živné rostliny - Betula, Quercus, Acer campestre, Crataegus, Prunus; Corylus.
Variabilita. Jsou dvě skupiny imag, jedna má konec krovek černý a druhá červenohnědý. Pro obě skupiny platí, že na zbývající ploše krovek se skvrny na krovkách různě rozšiřují nebo spojují, až jsou krovky černé, nebo jsou různě redukovány.